Trésor caché
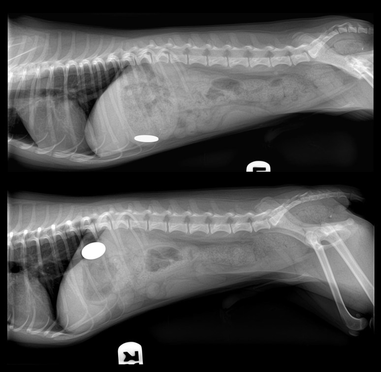
De combien seriez-vous plus riches après avoir retiré la pièce de monnaie qui est dans l’estomac de ce chien ?

Réponse ici.
De combien seriez-vous plus riches après avoir retiré la pièce de monnaie qui est dans l’estomac de ce chien ?

Réponse ici.


