142805_RX_0002_Animages

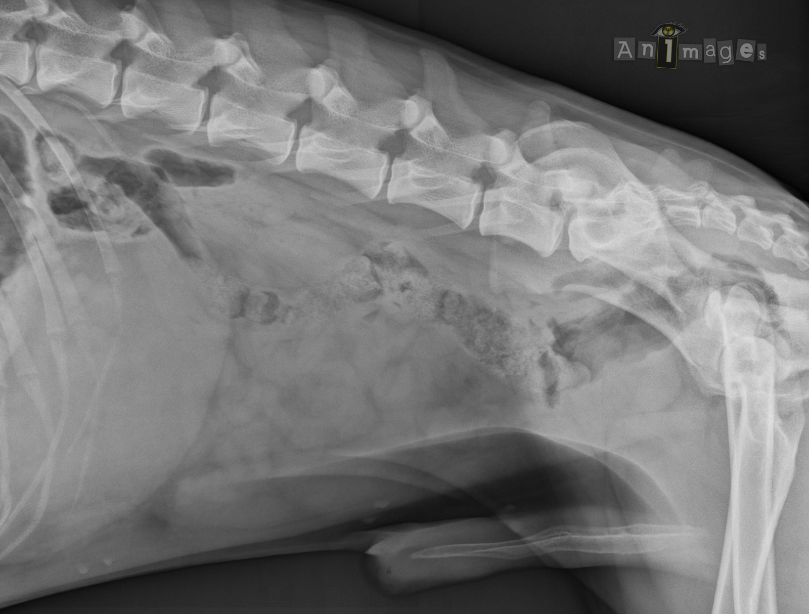
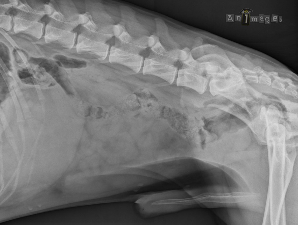
Latérale droite 2

Laisser un commentaire

Ce site utilise Akismet pour réduire le pourriel. En savoir plus sur comment les données de vos commentaires sont utilisées.